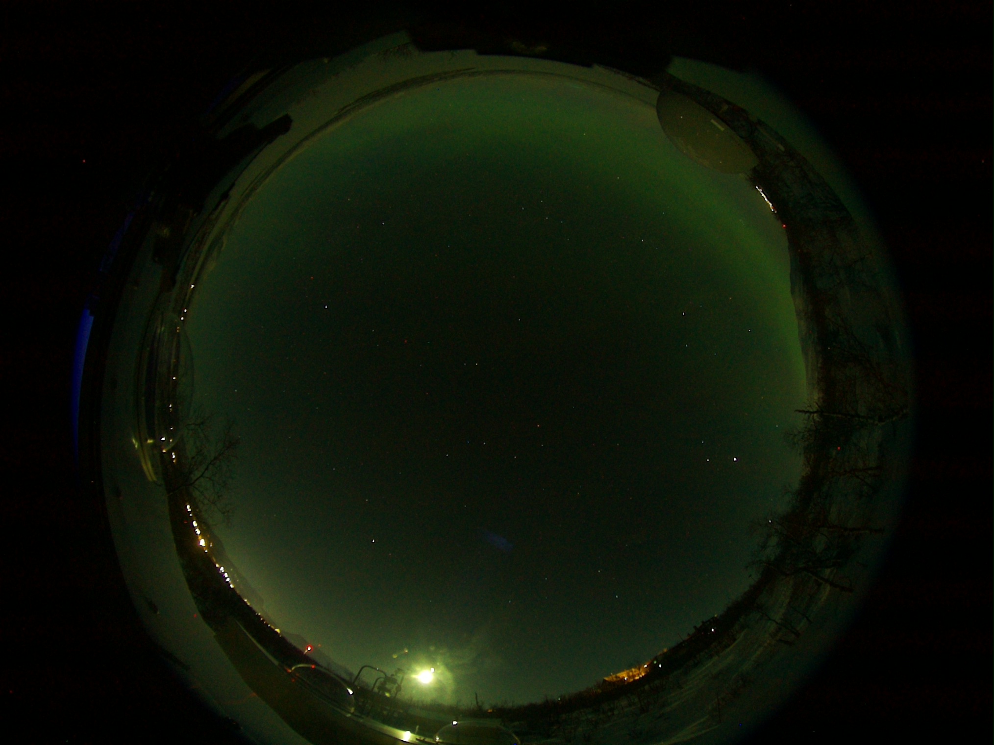
camera-07 @ Abisko (vi)
Digital camera observations
2025-01-10
2025-12-10
2026-01-09
2026-01-10
2026-01-11
2026-02-10
2027-01-10
|
|
00:00:01 UT
|
00:01:01 UT
|
00:02:02 UT
|
00:03:01 UT
|
00:04:01 UT
|
00:05:01 UT
|
00:06:01 UT
|
00:07:01 UT
|
00:08:01 UT
|
00:09:01 UT
|
00:10:01 UT
|
00:11:01 UT
|
00:12:01 UT
|
00:13:01 UT
|
00:14:01 UT
|
00:15:01 UT
|
00:16:01 UT
|
00:17:02 UT
|
00:18:01 UT
|
00:19:01 UT
|
00:20:01 UT
|
00:21:01 UT
|
00:22:01 UT
|
00:23:02 UT
|
00:24:01 UT
|
00:25:01 UT
|
00:26:01 UT
|
00:27:01 UT
|
00:28:01 UT
|
00:29:01 UT
|
00:30:01 UT
|
00:31:01 UT
|
00:32:01 UT
|
00:33:01 UT
|
00:34:01 UT
|
00:35:01 UT
|
00:36:01 UT
|
00:37:01 UT
|
00:38:01 UT
|
00:39:01 UT
|
00:40:01 UT
|
00:41:01 UT
|
00:42:01 UT
|
00:43:01 UT
|
00:44:01 UT
|
00:45:01 UT
|
00:46:01 UT
|
00:47:01 UT
|
00:48:01 UT
|
00:49:01 UT
|
00:50:01 UT
|
00:51:01 UT
|
00:52:01 UT
|
00:53:01 UT
|
00:54:02 UT
|
00:55:01 UT
|
00:56:01 UT
|
00:57:02 UT
|
00:58:01 UT
|
00:59:01 UT
|
01:00:01 UT
|
01:01:01 UT
|
01:02:01 UT
|
01:03:01 UT
|
01:04:01 UT
|
01:05:01 UT
|
01:06:01 UT
|
01:07:01 UT
|
01:08:01 UT
|
01:09:01 UT
|
01:10:01 UT
|
01:11:02 UT
|
01:12:01 UT
|
01:13:01 UT
|
01:14:01 UT
|
01:15:01 UT
|
01:16:01 UT
|
01:17:01 UT
|
01:18:01 UT
|
01:19:01 UT
|
01:20:01 UT
|
01:21:01 UT
|
01:22:01 UT
|
01:23:02 UT
|
01:24:01 UT
|
01:25:02 UT
|
01:26:01 UT
|
01:27:01 UT
|
01:28:01 UT
|
01:29:01 UT
|
01:30:02 UT
|
01:31:02 UT
|
01:32:01 UT
|
01:33:01 UT
|
01:34:01 UT
|
01:35:01 UT
|
01:36:01 UT
|
01:37:01 UT
|
01:38:01 UT
|
01:39:02 UT
|
01:40:01 UT
|
01:41:01 UT
|
01:42:01 UT
|
01:43:01 UT
|
01:44:01 UT
|
01:45:02 UT
|
01:46:01 UT
|
01:47:01 UT
|
01:48:01 UT
|
01:49:01 UT
|
01:50:02 UT
|
01:51:01 UT
|
01:52:01 UT
|
01:53:02 UT
|
01:54:01 UT
|
01:55:01 UT
|
01:56:01 UT
|
01:57:01 UT
|
01:58:01 UT
|
01:59:01 UT
|
02:00:01 UT
|
02:01:02 UT
|
02:02:01 UT
|
02:03:01 UT
|
02:04:01 UT
|
02:05:01 UT
|
02:06:01 UT
|
02:07:01 UT
|
02:08:01 UT
|
02:09:01 UT
|
02:10:01 UT
|
02:11:01 UT
|
02:12:01 UT
|
02:13:01 UT
|
02:14:01 UT
|
02:15:01 UT
|
02:16:01 UT
|
02:17:01 UT
|
02:18:02 UT
|
02:19:01 UT
|
02:20:01 UT
|
02:21:01 UT
|
02:22:01 UT
|
02:23:01 UT
|
02:24:01 UT
|
02:25:01 UT
|
02:26:01 UT
|
02:27:01 UT
|
02:28:01 UT
|
02:29:01 UT
|
02:30:02 UT
|
02:31:01 UT
|
02:32:01 UT
|
02:33:01 UT
|
02:34:01 UT
|
02:35:01 UT
|
02:36:01 UT
|
02:37:02 UT
|
02:38:01 UT
|
02:39:01 UT
|
02:40:01 UT
|
02:41:01 UT
|
02:42:01 UT
|
02:43:01 UT
|
02:44:01 UT
|
02:45:01 UT
|
02:46:01 UT
|
02:47:01 UT
|
02:48:01 UT
|
02:49:01 UT
|
02:50:01 UT
|
02:51:02 UT
|
02:52:01 UT
|
02:53:02 UT
|
02:54:01 UT
|
02:55:02 UT
|
02:56:01 UT
|
02:57:01 UT
|
02:58:01 UT
|
02:59:01 UT
|
03:00:01 UT
|
03:01:02 UT
|
03:02:01 UT
|
03:03:01 UT
|
03:04:01 UT
|
03:05:01 UT
|
03:06:01 UT
|
03:07:01 UT
|
03:08:01 UT
|
03:09:01 UT
|
03:10:01 UT
|
03:11:01 UT
|
03:12:01 UT
|
03:13:01 UT
|
03:14:01 UT
|
03:15:01 UT
|
03:16:01 UT
|
03:17:01 UT
|
03:18:01 UT
|
03:19:01 UT
|
03:20:02 UT
|
03:21:01 UT
|
03:22:02 UT
|
03:23:01 UT
|
03:24:02 UT
|
03:25:01 UT
|
03:26:02 UT
|
03:27:01 UT
|
03:28:02 UT
|
03:29:01 UT
|
03:30:01 UT
|
03:31:02 UT
|
03:32:01 UT
|
03:33:01 UT
|
03:34:01 UT
|
03:35:01 UT
|
03:36:01 UT
|
03:37:01 UT
|
03:38:01 UT
|
03:39:01 UT
|
03:40:01 UT
|
03:41:02 UT
|
03:42:01 UT
|
03:43:01 UT
|
03:44:01 UT
|
03:45:01 UT
|
03:46:01 UT
|
03:47:01 UT
|
03:48:01 UT
|
03:49:01 UT
|
03:50:01 UT
|
03:51:01 UT
|
03:52:01 UT
|
03:53:01 UT
|
03:54:01 UT
|
03:55:01 UT
|
03:56:01 UT
|
03:57:01 UT
|
03:58:01 UT
|
03:59:01 UT
|
04:00:01 UT
|
04:01:02 UT
|
04:02:01 UT
|
04:03:02 UT
|
04:04:01 UT
|
04:05:02 UT
|
04:06:01 UT
|
04:07:01 UT
|
04:08:01 UT
|
04:09:02 UT
|
04:10:01 UT
|
04:11:02 UT
|
04:12:01 UT
|
04:13:01 UT
|
04:14:01 UT
|
04:15:01 UT
|
04:16:01 UT
|
04:17:01 UT
|
04:18:01 UT
|
04:19:02 UT
|
04:20:01 UT
|
04:21:01 UT
|
04:22:01 UT
|
04:23:01 UT
|
04:24:01 UT
|
04:25:01 UT
|
04:26:01 UT
|
04:27:01 UT
|
04:28:01 UT
|
04:29:01 UT
|
04:30:01 UT
|
04:31:01 UT
|
04:32:01 UT
|
04:33:01 UT
|
04:34:01 UT
|
04:35:01 UT
|
04:36:01 UT
|
04:37:01 UT
|
04:38:01 UT
|
04:39:01 UT
|
04:40:02 UT
|
04:41:01 UT
|
04:42:02 UT
|
04:43:01 UT
|
04:44:01 UT
|
04:45:01 UT
|
04:46:01 UT
|
04:47:01 UT
|
04:48:01 UT
|
04:49:01 UT
|
04:50:01 UT
|
04:51:01 UT
|
04:52:01 UT
|
04:53:01 UT
|
04:54:01 UT
|
04:55:01 UT
|
04:56:01 UT
|
04:57:01 UT
|
04:58:01 UT
|
04:59:02 UT
|
05:00:01 UT
|
05:01:01 UT
|
05:02:01 UT
|
05:03:01 UT
|
05:04:01 UT
|
05:05:01 UT
|
05:06:01 UT
|
05:07:01 UT
|
05:08:01 UT
|
05:09:01 UT
|
05:10:01 UT
|
05:11:01 UT
|
05:12:01 UT
|
05:13:01 UT
|
05:14:01 UT
|
05:15:01 UT
|
05:16:01 UT
|
05:17:01 UT
|
05:18:02 UT
|
05:19:01 UT
|
05:20:01 UT
|
05:21:01 UT
|
05:22:01 UT
|
05:23:01 UT
|
05:24:01 UT
|
05:25:01 UT
|
05:26:01 UT
|
05:27:01 UT
|
05:28:01 UT
|
05:29:01 UT
|
05:30:01 UT
|
05:31:01 UT
|
05:32:01 UT
|
05:33:01 UT
|
05:34:01 UT
|
05:35:01 UT
|
05:36:02 UT
|
05:37:01 UT
|
05:38:02 UT
|
05:39:01 UT
|
05:40:02 UT
|
05:41:01 UT
|
05:42:02 UT
|
05:43:01 UT
|
05:44:02 UT
|
05:45:01 UT
|
05:46:01 UT
|
05:47:01 UT
|
05:48:01 UT
|
05:49:01 UT
|
05:50:01 UT
|
05:51:01 UT
|
05:52:01 UT
|
05:53:01 UT
|
05:54:01 UT
|
05:55:01 UT
|
05:56:01 UT
|
05:57:01 UT
|
05:58:01 UT
|
05:59:01 UT
|
06:00:01 UT
|
06:01:01 UT
|
06:02:01 UT
|
06:03:01 UT
|
06:04:01 UT
|
06:05:01 UT
|
06:06:01 UT
|
06:07:01 UT
|
06:08:01 UT
|
06:09:01 UT
|
06:10:01 UT
|
06:11:01 UT
|
06:12:02 UT
|
06:13:01 UT
|
06:14:01 UT
|
06:15:01 UT
|
06:16:01 UT
|
06:17:01 UT
|
06:18:01 UT
|
06:19:01 UT
|
06:20:01 UT
|
06:21:01 UT
|
06:22:01 UT
|
06:23:01 UT
|
06:24:01 UT
|
06:25:01 UT
|
06:26:01 UT
|
06:27:01 UT
|
06:28:01 UT
|
06:29:01 UT
|
06:30:01 UT
|
06:31:01 UT
|
06:32:01 UT
|
06:33:01 UT
|
06:34:01 UT
|
06:35:01 UT
|
06:36:01 UT
|
06:37:01 UT
|
06:38:01 UT
|
06:39:01 UT
|
06:40:01 UT
|
06:41:01 UT
|
06:42:01 UT
|
06:43:01 UT
|
06:44:01 UT
|
06:45:01 UT
|
06:46:02 UT
|
06:47:01 UT
|
06:48:01 UT
|
06:49:01 UT
|
06:50:01 UT
|
06:51:01 UT
|
06:52:01 UT
|
06:53:01 UT
|
06:54:01 UT
|
06:55:01 UT
|
06:56:01 UT
|
06:57:01 UT
|
06:58:01 UT
|
06:59:01 UT
|
07:00:01 UT
|
07:20:01 UT
|
07:40:01 UT
|
08:00:02 UT
|
08:20:01 UT
|
08:40:01 UT
|
09:00:01 UT
|
09:20:01 UT
|
09:40:01 UT
|
10:00:02 UT
|
10:20:01 UT
|
10:40:01 UT
|
11:00:01 UT
|
11:20:01 UT
|
11:40:01 UT
|
12:00:02 UT
|
12:20:01 UT
|
12:40:01 UT
|
13:00:01 UT
|
13:01:01 UT
|
13:02:02 UT
|
13:03:02 UT
|
13:04:01 UT
|
13:05:01 UT
|
13:06:01 UT
|
13:07:01 UT
|
13:08:01 UT
|
13:09:02 UT
|
13:10:01 UT
|
13:11:01 UT
|
13:12:01 UT
|
13:13:01 UT
|
13:14:01 UT
|
13:15:01 UT
|
13:16:01 UT
|
13:17:01 UT
|
13:18:01 UT
|
13:19:01 UT
|
13:20:01 UT
|
13:21:01 UT
|
13:22:02 UT
|
13:23:01 UT
|
13:24:01 UT
|
13:25:01 UT
|
13:26:01 UT
|
13:27:01 UT
|
13:28:02 UT
|
13:29:01 UT
|
13:30:01 UT
|
13:31:02 UT
|
13:32:01 UT
|
13:33:01 UT
|
13:34:01 UT
|
13:35:01 UT
|
13:36:02 UT
|
13:37:01 UT
|
13:38:01 UT
|
13:39:01 UT
|
13:40:01 UT
|
13:41:01 UT
|
13:42:01 UT
|
13:43:01 UT
|
13:44:01 UT
|
13:45:01 UT
|
13:46:01 UT
|
13:47:01 UT
|
13:48:01 UT
|
13:49:01 UT
|
13:50:01 UT
|
13:51:01 UT
|
13:52:01 UT
|
13:53:01 UT
|
13:54:01 UT
|
13:55:01 UT
|
13:56:01 UT
|
13:57:01 UT
|
13:58:01 UT
|
13:59:01 UT
|
14:00:01 UT
|
14:01:01 UT
|
14:02:01 UT
|
14:03:01 UT
|
14:04:01 UT
|
14:05:01 UT
|
14:06:01 UT
|
14:07:01 UT
|
14:08:01 UT
|
14:09:01 UT
|
14:10:01 UT
|
14:11:01 UT
|
14:12:01 UT
|
14:13:01 UT
|
14:14:01 UT
|
14:15:01 UT
|
14:16:01 UT
|
14:17:01 UT
|
14:18:01 UT
|
14:19:01 UT
|
14:20:01 UT
|
14:21:02 UT
|
14:22:01 UT
|
14:23:01 UT
|
14:24:01 UT
|
14:25:01 UT
|
14:26:01 UT
|
14:27:01 UT
|
14:28:01 UT
|
14:29:01 UT
|
14:30:01 UT
|
14:31:02 UT
|
14:32:01 UT
|
14:33:01 UT
|
14:34:02 UT
|
14:35:01 UT
|
14:36:02 UT
|
14:37:01 UT
|
14:38:01 UT
|
14:39:01 UT
|
14:40:01 UT
|
14:41:01 UT
|
14:42:01 UT
|
14:43:01 UT
|
14:44:01 UT
|
14:45:01 UT
|
14:46:01 UT
|
14:47:01 UT
|
14:48:01 UT
|
14:49:01 UT
|
14:50:01 UT
|
14:51:01 UT
|
14:52:01 UT
|
14:53:01 UT
|
14:54:01 UT
|
14:55:01 UT
|
14:56:01 UT
|
14:57:01 UT
|
14:58:01 UT
|
14:59:01 UT
|
15:00:01 UT
|
15:01:01 UT
|
15:02:01 UT
|
15:03:01 UT
|
15:04:01 UT
|
15:05:01 UT
|
15:06:01 UT
|
15:07:01 UT
|
15:08:01 UT
|
15:09:01 UT
|
15:10:01 UT
|
15:11:01 UT
|
15:12:01 UT
|
15:13:01 UT
|
15:14:01 UT
|
15:15:01 UT
|
15:16:01 UT
|
15:17:01 UT
|
15:18:01 UT
|
15:19:01 UT
|
15:20:01 UT
|
15:21:01 UT
|
15:22:01 UT
|
15:23:01 UT
|
15:24:01 UT
|
15:25:02 UT
|
15:26:01 UT
|
15:27:02 UT
|
15:28:01 UT
|
15:29:01 UT
|
15:30:01 UT
|
15:31:01 UT
|
15:32:02 UT
|
15:33:01 UT
|
15:34:01 UT
|
15:35:01 UT
|
15:36:01 UT
|
15:37:01 UT
|
15:38:01 UT
|
15:39:01 UT
|
15:40:01 UT
|
15:41:01 UT
|
15:42:01 UT
|
15:43:01 UT
|
15:44:01 UT
|
15:45:01 UT
|
15:46:01 UT
|
15:47:01 UT
|
15:48:01 UT
|
15:49:01 UT
|
15:50:01 UT
|
15:51:02 UT
|
15:52:01 UT
|
15:53:01 UT
|
15:54:01 UT
|
15:55:01 UT
|
15:56:01 UT
|
15:57:02 UT
|
15:58:01 UT
|
15:59:01 UT
|
16:00:01 UT
|
16:01:01 UT
|
16:02:01 UT
|
16:03:01 UT
|
16:04:01 UT
|
16:05:01 UT
|
16:06:01 UT
|
16:07:01 UT
|
16:08:01 UT
|
16:09:01 UT
|
16:10:01 UT
|
16:11:01 UT
|
16:12:01 UT
|
16:13:01 UT
|
16:14:01 UT
|
16:15:01 UT
|
16:16:01 UT
|
16:17:01 UT
|
16:18:01 UT
|
16:19:01 UT
|
16:20:01 UT
|
16:21:01 UT
|
16:22:01 UT
|
16:23:01 UT
|
16:24:02 UT
|
16:25:01 UT
|
16:26:01 UT
|
16:27:01 UT
|
16:28:01 UT
|
16:29:01 UT
|
16:30:01 UT
|
16:31:01 UT
|
16:32:01 UT
|
16:33:01 UT
|
16:34:01 UT
|
16:35:01 UT
|
16:36:01 UT
|
16:37:02 UT
|
16:38:01 UT
|
16:39:01 UT
|
16:40:01 UT
|
16:41:01 UT
|
16:42:01 UT
|
16:43:01 UT
|
16:44:01 UT
|
16:45:01 UT
|
16:46:01 UT
|
16:47:01 UT
|
16:48:01 UT
|
16:49:01 UT
|
16:50:01 UT
|
16:51:01 UT
|
16:52:01 UT
|
16:53:02 UT
|
16:54:01 UT
|
16:55:01 UT
|
16:56:01 UT
|
16:57:01 UT
|
16:58:01 UT
|
16:59:01 UT
|
17:00:01 UT
|
17:01:01 UT
|
17:02:01 UT
|
17:03:01 UT
|
17:04:01 UT
|
17:05:01 UT
|
17:06:01 UT
|
17:07:01 UT
|
17:08:01 UT
|
17:09:01 UT
|
17:10:01 UT
|
17:11:01 UT
|
17:12:01 UT
|
17:13:01 UT
|
17:14:01 UT
|
17:15:01 UT
|
17:16:01 UT
|
17:17:01 UT
|
17:18:01 UT
|
17:19:02 UT
|
17:20:01 UT
|
17:21:01 UT
|
17:22:01 UT
|
17:23:01 UT
|
17:24:01 UT
|
17:25:01 UT
|
17:26:01 UT
|
17:27:01 UT
|
17:28:01 UT
|
17:29:01 UT
|
17:30:01 UT
|
17:31:02 UT
|
17:32:01 UT
|
17:33:01 UT
|
17:34:02 UT
|
17:35:01 UT
|
17:36:01 UT
|
17:37:01 UT
|
17:38:01 UT
|
17:39:01 UT
|
17:40:01 UT
|
17:41:01 UT
|
17:42:01 UT
|
17:43:01 UT
|
17:44:01 UT
|
17:45:01 UT
|
17:46:01 UT
|
17:47:01 UT
|
17:48:01 UT
|
17:49:01 UT
|
17:50:02 UT
|
17:51:01 UT
|
17:52:02 UT
|
17:53:01 UT
|
17:54:01 UT
|
17:55:01 UT
|
17:56:01 UT
|
17:57:01 UT
|
17:58:01 UT
|
17:59:01 UT
|
18:00:01 UT
|
18:01:01 UT
|
18:02:01 UT
|
18:03:01 UT
|
18:04:02 UT
|
18:05:01 UT
|
18:06:01 UT
|
18:07:01 UT
|
18:08:01 UT
|
18:09:01 UT
|
18:10:01 UT
|
18:11:01 UT
|
18:12:02 UT
|
18:13:01 UT
|
18:14:01 UT
|
18:15:01 UT
|
18:16:01 UT
|
18:17:01 UT
|
18:18:01 UT
|
18:19:01 UT
|
18:20:01 UT
|
18:21:01 UT
|
18:22:01 UT
|
18:23:01 UT
|
18:24:01 UT
|
18:25:01 UT
|
18:26:01 UT
|
18:27:01 UT
|
18:28:01 UT
|
18:29:01 UT
|
18:30:01 UT
|
18:31:01 UT
|
18:32:01 UT
|
18:33:01 UT
|
18:34:01 UT
|
18:35:01 UT
|
18:36:01 UT
|
18:37:01 UT
|
18:38:01 UT
|
18:39:01 UT
|
18:40:01 UT
|
18:41:01 UT
|
18:42:01 UT
|
18:43:01 UT
|
18:44:01 UT
|
18:45:01 UT
|
18:46:01 UT
|
18:47:01 UT
|
18:48:01 UT
|
18:49:01 UT
|
18:50:01 UT
|
18:51:01 UT
|
18:52:01 UT
|
18:53:01 UT
|
18:54:01 UT
|
18:55:01 UT
|
18:56:01 UT
|
18:57:01 UT
|
18:58:02 UT
|
18:59:01 UT
|
19:00:02 UT
|
19:01:02 UT
|
19:02:02 UT
|
19:03:01 UT
|
19:04:01 UT
|
19:05:01 UT
|
19:06:01 UT
|
19:07:01 UT
|
19:08:01 UT
|
19:09:01 UT
|
19:10:01 UT
|
19:11:01 UT
|
19:12:01 UT
|
19:13:01 UT
|
19:14:01 UT
|
19:15:01 UT
|
19:16:02 UT
|
19:17:01 UT
|
19:18:01 UT
|
19:19:01 UT
|
19:20:01 UT
|
19:21:01 UT
|
19:22:01 UT
|
19:23:01 UT
|
19:24:01 UT
|
19:25:01 UT
|
19:26:01 UT
|
19:27:01 UT
|
19:28:01 UT
|
19:29:01 UT
|
19:30:01 UT
|
19:31:01 UT
|
19:32:01 UT
|
19:33:02 UT
|
19:34:01 UT
|
19:35:01 UT
|
19:36:01 UT
|
19:37:01 UT
|
19:38:01 UT
|
19:39:01 UT
|
19:40:01 UT
|
19:41:01 UT
|
19:42:01 UT
|
19:43:01 UT
|
19:44:01 UT
|
19:45:01 UT
|
19:46:01 UT
|
19:47:01 UT
|
19:48:01 UT
|
19:49:01 UT
|
19:50:02 UT
|
19:51:01 UT
|
19:52:02 UT
|
19:53:01 UT
|
19:54:01 UT
|
19:55:01 UT
|
19:56:01 UT
|
19:57:01 UT
|
19:58:01 UT
|
19:59:01 UT
|
20:00:01 UT
|
20:01:02 UT
|
20:02:01 UT
|
20:03:01 UT
|
20:04:01 UT
|
20:05:01 UT
|
20:06:01 UT
|
20:07:01 UT
|
20:08:01 UT
|
20:09:01 UT
|
20:10:01 UT
|
20:11:01 UT
|
20:12:01 UT
|
20:13:01 UT
|
20:14:01 UT
|
20:15:01 UT
|
20:16:01 UT
|
20:17:01 UT
|
20:18:01 UT
|
20:19:01 UT
|
20:20:01 UT
|
20:21:01 UT
|
20:22:01 UT
|
20:23:01 UT
|
20:24:01 UT
|
20:25:01 UT
|
20:26:01 UT
|
20:27:01 UT
|
20:28:01 UT
|
20:29:01 UT
|
20:30:01 UT
|
20:31:02 UT
|
20:32:01 UT
|
20:33:01 UT
|
20:34:01 UT
|
20:35:02 UT
|
20:36:01 UT
|
20:37:01 UT
|
20:38:01 UT
|
20:39:01 UT
|
20:40:01 UT
|
20:41:01 UT
|
20:42:01 UT
|
20:43:01 UT
|
20:44:01 UT
|
20:45:01 UT
|
20:46:01 UT
|
20:47:01 UT
|
20:48:01 UT
|
20:49:01 UT
|
20:50:01 UT
|
20:51:01 UT
|
20:52:01 UT
|
20:53:01 UT
|
20:54:01 UT
|
20:55:01 UT
|
20:56:01 UT
|
20:57:01 UT
|
20:58:01 UT
|
20:59:01 UT
|
21:00:01 UT
|
21:01:01 UT
|
21:02:01 UT
|
21:03:01 UT
|
21:04:01 UT
|
21:05:01 UT
|
21:06:01 UT
|
21:07:01 UT
|
21:08:01 UT
|
21:09:01 UT
|
21:10:01 UT
|
21:11:01 UT
|
21:12:01 UT
|
21:13:01 UT
|
21:14:01 UT
|
21:15:01 UT
|
21:16:01 UT
|
21:17:01 UT
|
21:18:01 UT
|
21:19:02 UT
|
21:20:01 UT
|
21:21:01 UT
|
21:22:01 UT
|
21:23:01 UT
|
21:24:01 UT
|
21:25:01 UT
|
21:26:01 UT
|
21:27:01 UT
|
21:28:01 UT
|
21:29:01 UT
|
21:30:01 UT
|
21:31:02 UT
|
21:32:01 UT
|
21:33:01 UT
|
21:34:01 UT
|
21:35:01 UT
|
21:36:01 UT
|
21:37:01 UT
|
21:38:01 UT
|
21:39:01 UT
|
21:40:01 UT
|
21:41:01 UT
|
21:42:01 UT
|
21:43:01 UT
|
21:44:01 UT
|
21:45:01 UT
|
21:46:01 UT
|
21:47:01 UT
|
21:48:01 UT
|
21:49:01 UT
|
21:50:01 UT
|
21:51:01 UT
|
21:52:01 UT
|
21:53:01 UT
|
21:54:01 UT
|
21:55:01 UT
|
21:56:01 UT
|
21:57:01 UT
|
21:58:01 UT
|
21:59:02 UT
|
22:00:01 UT
|
22:01:01 UT
|
22:02:01 UT
|
22:03:01 UT
|
22:04:01 UT
|
22:05:01 UT
|
22:06:01 UT
|
22:07:01 UT
|
22:08:01 UT
|
22:09:01 UT
|
22:10:01 UT
|
22:11:01 UT
|
22:12:01 UT
|
22:13:01 UT
|
22:14:01 UT
|
22:15:01 UT
|
22:16:01 UT
|
22:17:01 UT
|
22:18:01 UT
|
22:19:01 UT
|
22:20:01 UT
|
22:21:01 UT
|
22:22:01 UT
|
22:23:01 UT
|
22:24:01 UT
|
22:25:01 UT
|
22:26:01 UT
|
22:27:01 UT
|
22:28:01 UT
|
22:29:01 UT
|
22:30:02 UT
|
22:31:02 UT
|
22:32:02 UT
|
22:33:01 UT
|
22:34:01 UT
|
22:35:01 UT
|
22:36:01 UT
|
22:37:01 UT
|
22:38:01 UT
|
22:39:01 UT
|
22:40:01 UT
|
22:41:01 UT
|
22:42:01 UT
|
22:43:01 UT
|
22:44:01 UT
|
22:45:01 UT
|
22:46:01 UT
|
22:47:01 UT
|
22:48:01 UT
|
22:49:01 UT
|
22:50:01 UT
|
22:51:01 UT
|
22:52:01 UT
|
22:53:01 UT
|
22:54:01 UT
|
22:55:01 UT
|
22:56:01 UT
|
22:57:01 UT
|
22:58:02 UT
|
22:59:01 UT
|
23:00:02 UT
|
23:01:01 UT
|
23:02:01 UT
|
23:03:01 UT
|
23:04:01 UT
|
23:05:01 UT
|
23:06:01 UT
|
23:07:01 UT
|
23:08:01 UT
|
23:09:01 UT
|
23:10:01 UT
|
23:11:01 UT
|
23:12:01 UT
|
23:13:01 UT
|
23:14:01 UT
|
23:15:01 UT
|
23:16:01 UT
|
23:17:01 UT
|
23:18:01 UT
|
23:19:01 UT
|
23:20:01 UT
|
23:21:01 UT
|
23:22:01 UT
|
23:23:01 UT
|
23:24:01 UT
|
23:25:01 UT
|
23:26:01 UT
|
23:27:01 UT
|
23:28:01 UT
|
23:29:01 UT
|
23:30:01 UT
|
23:31:01 UT
|
23:32:01 UT
|
23:33:01 UT
|
23:34:01 UT
|
23:35:01 UT
|
23:36:01 UT
|
23:37:01 UT
|
23:38:01 UT
|
23:39:01 UT
|
23:40:01 UT
|
23:41:01 UT
|
23:42:01 UT
|
23:43:02 UT
|
23:44:01 UT
|
23:45:01 UT
|
23:46:01 UT
|
23:47:01 UT
|
23:48:01 UT
|
23:49:01 UT
|
23:50:01 UT
|
23:51:01 UT
|
23:52:01 UT
|
23:53:01 UT
|
23:54:01 UT
|
23:55:01 UT
|
23:56:01 UT
|
23:57:01 UT
|
23:58:01 UT
|
23:59:01 UT
|
Copyright © Tsuda Lab. All Rights Reserved.